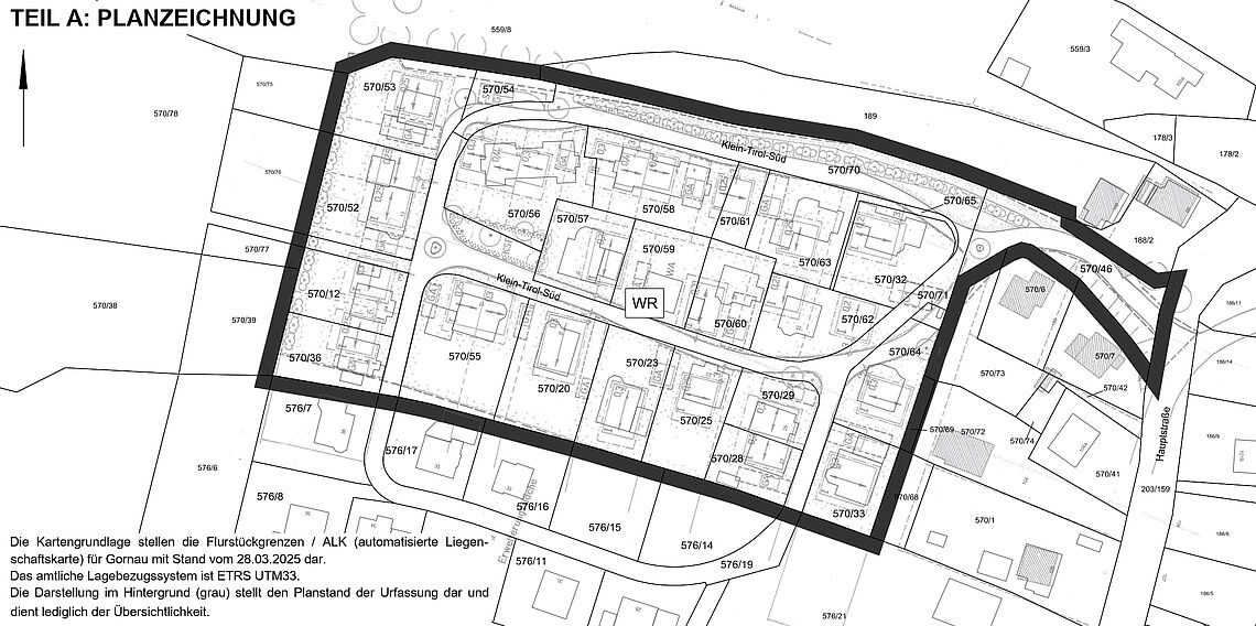
Der Gemeinderat der Gemeinde Gornau hat in seiner Sitzung am 23.02.2026 mit Beschluss Nr. 111
den Entwurf der 1. Änderung zum Bebauungsplan „Klein-Tirol-Süd II" in der Gemeinde Gornau im
Ortsteil Dittmannsdorf mit Begründung, Anlage 1 und Umweltbericht in der Fassung vom Januar 2026
gebilligt und die Bürgerbeteiligung gemäß $ 3 Abs. 2 BauGB durch Veröffentlichung der Unterlagen im
Internet (Internetseite der Gemeinde und im Zentralen Internetportal des Landes) sowie zusätzlich eine
öffentliche Auslegung beschlossen.
In der Zeit vom 09.03.2026 - 17.04.2026 wird der Entwurf der 1. Änderung zum Bebauungsplan „Klein-
Tirol-Süd II" mit Begründung, Anlage 1 und Umweltbericht sowie den nach Einschätzung der Gemeinde wesentlichen
bereits vorliegenden umweltbezogenen Stellungnahmen ins Internet eingestellt.
Während der Veröffentlichungsfrist können alle an der Planung Interessierten die Planunterlagen zum
Entwurf der 1. Änderung zum Bebauungsplan „Klein-Tirol-Süd Il" einsehen sowie in dieser Frist
Stellungnahmen, mit Angabe der Anschrift des Verfassers, hierzu abgeben.
Die vollständige Bekanntmachung kann HIER heruntergeladen werden.

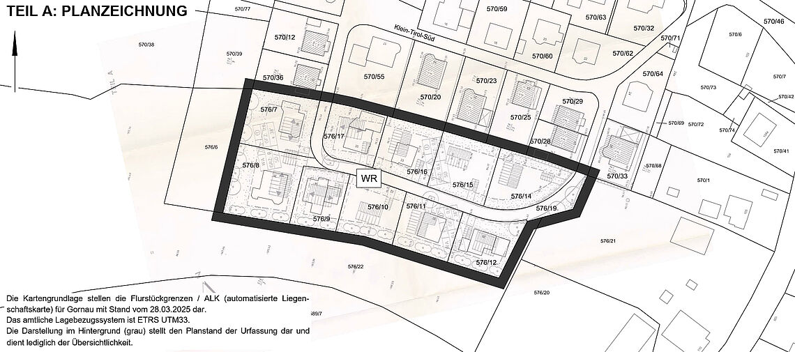
Der Gemeinderat der Gemeinde Gornau hat in seiner Sitzung am 23.02.2026 mit Beschluss Nr. 110
den Entwurf der 1. Änderung zum Bebauungsplan „Klein-Tirol-Süd" in der Gemeinde Gornau im Ortsteil
Dittmannsdorf mit Begründung, Anlage 1 und Umweltbericht in der Fassung vom Januar 2026 gebilligt
und die Bürgerbeteiligung gemäß $ 3 Abs. 2 BauGB durch Veröffentlichung der Unterlagen im Internet
(Internetseite der Gemeinde und im Zentralen Internetportal des Landes) sowie zusätzlich eine
öffentliche Auslegung beschlossen.
In der Zeit vom 09.03.2026 - 17.04.2026 wird der Entwurf der 1. Änderung zum Bebauungsplan „Klein-
Tirol-Süd" mit Begründung, Anlage 1 und Umweltbericht sowie den nach Einschätzung der Gemeinde wesent-lichen
bereits vorliegenden umweltbezogenen Stellungnahmen ins Internet unter eingestellt.
Während der Veröffentlichungsfrist können alle an der Planung Interessierten die Planunterlagen zum
Entwurf der 1. Änderung zum Bebauungsplan „Klein-Tirol-Süd" einsehen sowie in dieser Frist
Stellungnahmen, mit Angabe der Anschrift des Verfassers, hierzu abgeben.
Die vollständige Bekanntmachung kann HIER heruntergeladen werden.
Stand: Vorentwurf 09/2023
Der Gemeinderat Gornau beschloss in öffentlicher Sitzung am 16.10.2023 zum Vorentwurf des vorhabenbezogenen Bebauungsplans Sondergebiet „Sonnengipfel Kleintirol“ eine frühzeitige Öffentlichkeitsbeteiligung nach § 3 Abs. 1 Baugesetzbuch (BauGB) durchzuführen.
Der Geltungsbereich umfasst ein ca. 60 Hektar großes Areal, welches die Flurstücke: Teilfläche aus 556; Teilfläche aus 559/8; Teilfläche aus 576/4; Teilfläche aus 589/3; Teilfläche aus 596/62; Teilfläche aus 596/63; Teilfläche aus 669; Teilfläche aus 670; Teilfläche aus 671; Teilfläche aus 672; Teilfläche aus 674; Teilfläche aus 675 der Gemarkung Dittmannsdorf einbezieht. Planungsziel ist die Baurechtsbeschaffung für ein sonstiges Sondergebiet mit festgesetzter Nutzung zur Erzeugung und Speicherung von elektrischer Energie aus Sonnenlicht / Photovoltaikfreiflächenanlage und Landwirtschaft.
Die Vorentwurfsplanunterlagen zum vorhabenbezogenen Bebauungsplan in der Fassung vom September 2023, bestehend aus:
liegen in der Zeit vom 06.11.2023 bis zum 07.12.2023 öffentlich aus und können während der nachfolgenden Zeiten im Rathaus Gornau, Rathausplatz 5, 09405 Gornau
| Dienstag | von 08:00 – 11:30 Uhr und 12:30 – 18:00 Uhr |
| Donnerstag | von 08:00 – 11:30 Uhr und 12:30 – 16:00 Uhr |
| Freitag | von 08:00 – 12:00 Uhr |
sowie im Bürgerbüro des Rathauses Zschopau, Altmarkt 2, 09405 Zschopau
| Montag | von 09:00 – 12:00 Uhr |
| Dienstag | von 09:00 – 18:00 Uhr |
| Mittwoch | von 09:00 – 14:00 Uhr |
| Donnerstag | von 09:00 – 15:00 Uhr |
| Freitag | von 09:00 – 13:00 Uhr |
von jedermann kostenlos eingesehen werden. Während der Auslegungszeit können Anregungen, Bedenken und Hinweise von jedermann schriftlich an die Stadtverwaltung Zschopau, Altmarkt 2, 09405 Zschopau oder während der Öffnungszeiten zur Niederschrift vorgebracht werden. Da das Ergebnis der Behandlung der Stellungnahmen mitgeteilt wird, ist die Angabe der Anschrift des Verfassers zweckmäßig.
Nach § 4a Abs. 4 BauGB werden die ortsübliche Bekanntmachung und die auszulegenden Unterlagen gleichzeitig zusätzlich auf der Internetseite der Gemeinde Gornau https://www.gornau.de sowie auf dem zentralen Internetportal des Freistaats Sachsen unter https://www.buergerbeteiligung.sachsen.de eingestellt und darüber zugänglich gemacht.
Während der Auslegungsfrist können von jedermann Stellungnahmen schriftlich an die Stadtverwaltung Zschopau, Altmarkt 2, 09405 Zschopau oder während der Sprechzeiten mündlich zur Niederschrift abgegeben werden. Da das Ergebnis der Behandlung der Stellungnahmen mitgeteilt wird, ist die Angabe der Anschrift des Verfassers zweckmäßig. Die Mitteilung kann auch elektronisch an die E-Mail-Adresse bauamt(at)zschopau.de übermittelt werden. Nicht fristgerecht abgegebene Stellungnahmen können bei der Beschlussfassung über den Bauleitplan gemäß § 4a Abs. 6 BauGB unberücksichtigt bleiben.
Gornau, 1. November 2023
gez. Nico Wollnitzke
Bürgermeister